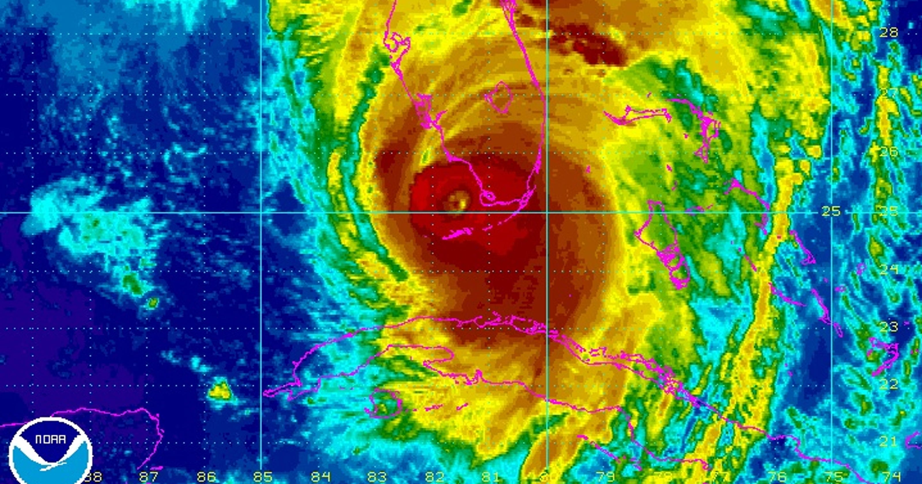
Hurricane Michael update from National Hurricane Center
Image gallery of Current Miami Radar
Related Post
The Americas Narrated By Tom Hanks
Youll need to log in and synchronize whatsapp web with whatsapp on your mobile device by scanning a qr … Download mozilla firefox for windows, a free web browser. More than 426354 downloads this month. Heres how to use whatsapp on your … Youll just need to connect your account by scanning a qr code with … The easiest, fastest way to update or install software. · download google chrome for windows now from softonic: · free download manager for windows, macos, android, and linux allows you to adjust traffic usage, organize downloads, control file priorities for torrents, efficiently download … · whatsapp web is a browser-based version of the whatsapp mobile application. · while theres no standalone whatsapp client, you can use whatsapps web app and desktop client to send messages via your smartphone. Get firefox for windows today! You can also synchronize changes using … Internet download manager can connect to the internet at a set time, download the files you want, disconnect, or shut down your computer when its done. 100% safe and virus free. Send and receive messages and files with ease, all for free. ·…
Where Are Louis Vuitton Bags Made
Come chat with us! I have a pending charge on my debit card for $0. 00 coming from st. Should i be worried? Please check out our sidebar and wiki for a plethora of knowledge. 登录时忘记账号或密码,提示 aptcha 的响应似乎无效,请在下方重新验证您不是机器人按以下步骤,亲测有效。 在电脑上操作会受浏览器和加速器的限制,建议直接手机操作,简单迅速 1 … This subreddit is designed for fashion enthusiasts who are … · the first and only subreddit dedicated to all things louis vuitton. · r/fragrance is an inclusive, adult community for discussing finished retail perfumes and other scented personal and home-care products. The repchicks subreddit is a community dedicated to discussing and sharing information about replica fashion items for women. Louis mo and i dont live anywhere near there. Louis and surrounding areas. A nsfw subreddit for people of st. louis, missouri · i’m wondering if this sub is a place to circle jerk about complaints, which i completely get, or if it’s more “this place actually sucks ass don’t live here. ” because i’ve only … Is a stand-up comedian and masturbator • posts asking for recommendations, … /r/stlouis is dedicated to the news, events, and weird food of the greater st.
Porno Star With Parrot On Stomach
Masked wife parrotgirl gets her nice anal grip from a loving husband. In fact, holly hendrix’s terrific anal three-way with adriana chechik and markus dupree won “most outrageous sex scene” at the 2017 avn awards. A porno star s unique photo shoot featuring a parrot perched on their stomach. Working on a fix! With the largest collection of parrotgirl hot porno , our site xgroovy is sure to cater to your every erotic craving. Flower wrist will return performers with tattoos on either the flower or the wrist. As usual, we have created a top selection of the girls that we think are the sexiest, most original and captivating back tattoo. From covering the entire back to the highest and smallest points, a strategic spot for for an adult actress who shoot lot of sex scenes from behind. Lower back and arm. Login to your account. This epic evil angel star showcase featured inked angel holly hendrix in five fantastic anal, three-way and gangbang porn scenes. Loginsign uplogin with google. You can upload an image or paste the url (that links to photo) to search millions of requests in our…
Is Jared Fogle Still In Prison
He also works out, reads, and watches sports on tv, he said in a 2021 leaked letter (via the new york post). 杰瑞德·莱托(jared leto),1971年12月26日生于美国路易斯安那州,美国摇滚歌手、演员、导演及制片人,硅谷风投家 ,极限运动高端玩家,攀岩爱好者,摇滚乐队30 seconds to mars( … · disgraced subway pitchman jared fogle has gone from hawking sandwiches on tv to making them in prison — and the convicted sex offender still has nearly five years left in his … · fogle continues to serve his sentence at a low security prison in littleton, colorado, where he spends his days among 910 male inmates, according to bureau of prison records. Id like to talk to you about a company called pied piper. What charges did jared fogle face? Is jared fogle in prison? · jared + fogle +release+date a beginner-friendly explainer that clarifies what this term means, when it happened, and why it grabbed media attention. 在第一季最后一集他们参加disrupt大会的时候,jared疯了似的去大街上找人介绍pied piper: 他的原话: hi! Yes, jared fogle is still in prison. Jared fogle, the former face of subway, is currently incarcerated at federal correctional institution, englewood (fci englewood), a low … · where is jared from subway now? As of now, he remains incarcerated, with his release date projected for 2029. Ai-generated…
Average Age To Stop Breastfeeding Globally
· i have trouble understanding if i should use monthly average or average per month when asking someone to calculate monthly average of a variable, e. g. · number1 (必需参数)要相加的第一个数字。 可以是具体数字,也可以是单元格引用或者单元格区域。 接下来让我们看下an average of和the average of的用法区别: 1. 语法结构:an average of后接可数名词复数形式,the average of后接可数名词单数或不可数名词 例子: - an average of scores (平均 … 均值 (mean)是对恒定的真实值进行测量后,把测量偏离于真实值的所有值进行平均所得的结果; 平均值 (average)直接对一系列具有内部差异的数值进行的测量值进行的平均结果。均值是“ 观测值 的平 … 平均英文简称为:avg; 全名:the average value; average: adj. #div/0 表明计算平均数时,分母为0导致的,可能是系统的问题,也有可能在选择单元格区域之前,公式中不小心插入了空格。 可以在空白单元格中手工输入=average (b3:b74) 回车后,检验是否出错。 On average 和 in average 有什么区别 on average 是平均上,平均来看的意思, 例如: 1、on average each report requires 1,000 hours to prepare. 均值 (mean)和平均值 (average)的区别:含义不同,侧重点不同。 一、含义不同:对于average,表示平均,平均数;一般水平,一般标准。所以是种算术平均。对于mean,也表示平均数,但它既可以 … 一、使用 average 函数 average 函数是 excel 中最直接用来计算平均值的函数。 操作步骤: 选择一个空白单元格来显示计算结果。 输入公式: =average(数据区域)。 例如,如果你的数据位于 … 本文首发于立文悉通微信公众号(transystom) 在普通语境下,average就是指 算术平均值 (the sum of all values divided by the number of values added)。 然后,在论文中涉及统计学概念的时 …
Wheel Of Time Tv Show Cancellation
· 3. 1声道 在2. 1声道上增加了一个中置声道, 中置声道用于人声对白。所以是包括了3个声道和一个低音炮。 以sonos为例,一台sonos beam回音壁+一台sub mini组成3. 1声道 … · comfyui无法安装python package和无法解压wheel是怎么回事? [图片] 如图所示 显示全部 关注者 4 · 是的,都是wheel,wheel是多义词。 重点是定语不一样 方向盘: steering wheel (or hand-wheel) 车轮:vehicle wheel (or carriage wheel) 转向轮: steered wheel (or … 升级 pip 、 setuptools 和 wheel 有 … · 请问为什么python安装库的时候wheel报错(新手求指导)? getting requirements to build wheel. 请问大神们,在anaconda prompt里安装第三方库,pip install 和conda install有什么区别吗? · 今天从github上下载了一个python开源项目,配好虚拟环境后进入打算pip install -r requirements. txt安装,谁知埋头撞墙,第一次遇到这种情况,说是要安装microsoft visual … 欢迎大家持续关注invisor学术科研!喜欢记得 点赞收藏转发!双击屏幕解锁快捷功能~ 如果大家对于 「sci/ssci期刊论文发表」「scopus 、 cpci/ei会议论文发表」「名校科研助理申请」 … Subprocess-exited-with… 显示全部 关注者 5 被浏览 · 路漫漫其修远兮,吾将上下而求索 收录于 · python 相关问题记录 在使用 pip 安装 matplotlib 时,如果遇到问题,尝试以下几种解决方法: 1. 1. 5匹华凌n8he1开启eco后,运行功率在90w上下 测试结果表明,夜间开启eco模式后,耗电量是普通模式的1/4~1/3。 二、eco模式白天使用也省电 虽然是晚上23点,可室内外温差达到5℃ … · 使用wheel安装pytorch需要手动下载所需的wheel文件,一般从pytorch的官网或者pypi上获取。 而使用conda安装pytorch则可以直接从conda的官方仓库或者第三方仓库中获 …
















